New Homes Myrtle Beach - Site will list all new homes in Myrtle Beach, SC
New Homes in Myrtle Beach
(843) 940-3609

This New Homes in Myrtle Beach site is focused solely on providing a simplified guide to all of the new home communities in Myrtle Beach, SC. This web site is independently managed to serve and support development of the Myrtle Beach community and is a unique Myrtle Beach new home resource. All Myrtle Beach new home communities are presented without the influence or dependence of community or builder advertising. Input to improving the quality of this community resource presenting new construction in Myrtle Beach is welcomed and appreciated. Information on this site was last updated April 2026.
Ambridge
Myrtle Beach New Home Community By Beazer
113 Buckingham Drive, Conway, SC, 29526
New home community of Ambridge in Conway by Beazer Homes.

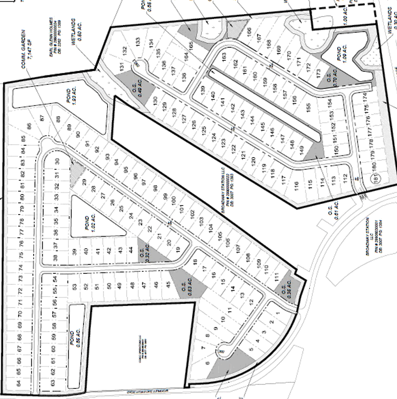
Preliminary Plan for Ambridge
Conceptual Plan for new home community off of McKinley Shortcut Road in Conway - data courtesy of Horry County
For information Purposes Only
Not for distribution
Data Courtesy Horry County

Prices (estimate only) Starting from : 272,000
Summary of this Myrtle Beach Area New Home Community:
Ambridge is a new home community in Conway, SC that began presales in September of 2025..

Beazer Homes is the builder in the new home community of Ambridge on an approximate 82 acre piece of property right off of McKinley Shortcut Road. The new home community of Ambridge in Conway will be developed near the intersection of Highway 905 and Highway 22.

Beazer has been building houses for over nine generations and is well committed to building in Myrtle Beach and the surrounding areas of Myrtle Beach. Beazer Homes USA Inc., is headquartered in Atlanta, and is one of the nation's top homebuilders with homes for sale across the United States. Beazer builds homes that meet and exceed ENERGY STAR® requirements while appealing to homebuyers at various price points across various demographic segments. In addition to saving energy, Beazer homes allow personalization through their Choice Plans™ and design upgrades. The Beazer long-term business strategy focuses on providing customers with quality homes, while seeking to maximize return on invested capital over time. Beazer Homes’ legacy includes building homes for America’s families for over 50 years. Beazer Homes has been listed on the New York Stock Exchange since 1994 under the ticker symbol “BZH”.

Preliminary plans are showing approximately 173 single family homes.

Beazer will be offering five different single-family home plans in the new home community of Ambridge in Conway:
(1) Camden – 3 bedrooms, 2 bathrooms, 1,639 square feet of living space. The Camden plan is a single-story home that features a bright, open-concept kitchen, dining area, and great room, making it easy to entertain or catch up on the family's day. The private primary suite at the rear of the home with an attached bathroom and large closet is the ideal place to retreat.
Beazer is offering the Camden floor plan in Ambridge starting at $299,000.

(2) Georgetown – 2 bedrooms, 2 bathrooms, 1,835 square feet of living space. A spacious and welcoming foyer invites guests into the Georgetown, a single-story home featuring an open-concept kitchen, dining room, and living room, perfect for entertaining. Enjoy making meals and memories in the well equipped kitchen with plenty of counter space.
Beazer is offering the Georgetown floor plan in Ambridge starting at $320,000.

(3) Savannah – 3 to 4 bedrooms, 2.5 bathrooms, 2,049 to 2,908 square feet of living space. The single-family Savannah plan is a one-story home featuring a spacious kitchen that flows into the great room, perfect for entertaining guests. The large primary suite boasts a massive closet that you won't believe!
Beazer is offering the Savannah floor plan in Ambridge starting at $335,000.

(4) Windsor – 3 bedrooms, 2 bathrooms, 2,336 to 2,350 square feet of living space. The Windsor is a beautiful two-story single-family home featuring a bright, open foyer that will wow your guests and make a great first impression. The spacious kitchen flows seamlessly into the great room and breakfast area, creating open-concept space perfect for entertaining and everyday living.
Beazer is offering the Windsor floor plan in Ambridge starting at $354,000.

(5) Conway – 5 bedrooms, 3 to 4 bathrooms, 2,571 to 2,693 square feet of living space. The Conway is a two story single-family home! Step into a warm, inviting foyer that opens to a bright kitchen and cozy great room. Upstairs, unwind in the spacious loft and extra bedrooms—perfect for family time, movie nights, or hosting loved ones in comfort and style.
Beazer is offering the Conway floor plan in Ambridge starting at $369,000.

Existing Homes for Sale in this Myrtle Beach Area New Home Community:
Beazer Homes started presales in the new home community of Ambridge in Conway in September of 2025.
Homes for sale in Ambridge

Myrtle Beach New Home Community News
New construction in Myrtle Beach - all active listings of new construction in Myrtle Beach
Myrtle Beach New Home Community News

Vansant Realty Group - real estate brokerage firm servicing Conway and the surrounding areas of Myrtle Beach.
(843) 940-3609
The builder of this Myrtle Beach new home community, Beazer, is also invested in other Myrtle Beach area new home communities. Below you will find other new home communities in Myrtle Beach which this builder is developing.
CommunityStarting PriceAreaAddressSubdivision Status
Hide details for BeazerBeazer
Ambridge$272,000Conway113 Buckingham DriveUnder Construction
Bella Vita$340,000Carolina Forest2505 Brescia StreetDevelopment Completed 2025
Bella Vita Gardens$290,000Carolina Forest801 San Marco CourtDevelopment Completed 2025
Belle Mer$440,000Surfside809 Reagan CourtUnder Construction
Harborview$460,000Carolina Forest1067 Safe Haven DriveUnder Construction
Inlet Keys$413,490Murrells InletGlengrove LaneUnder Construction
Marshfield$309,000North Myrtle Beach3037 Pembroke StreetUnder Construction
Northbrook$523,490Murrells Inlet46 Northbrook DriveUnder Construction
Orchard ParkLittle RiverMineola and Apple Tree LaneFuture Subdivision
Palmetto Bays EstatesConwaySC 814 & Route 544Future Subdivision
Somerset$334,490Socastee8901 Highway 814Under Construction
Sunset Landing$292,990Little River580 Kapalua LoopUnder Construction
Surfside Plantation$367,000Surfside209 Angel Wing DriveDevelopment Completed 2023
Villagio at Bella Vita$320,000Carolina Forest2505 Brescia StreetDevelopment Completed 2025

HOME
Page
New Homes in Myrtle Beach
By Builder
New Homes in Myrtle Beach
By Community
Useful
References
New Homes in Myrtle Beach
News
New Homes in Myrtle Beach
Future Subdivisions
New Homes in Myrtle Beach
Recently Completed
New Homes in Myrtle Beach
Site Map

The Myrtle Beach community is rapidly growing and the new construction opportunities in Myrtle Beach are ever-changing. A significant amount of time is dedicated to ensuring that the content on this site is comprehensive and accurate. The efforts of our sponsors are greatly appreciated.
New Homes in Myrtle Beach
Primary Sponsor
Vsansant Realty Group - Full service real estate brokerage serving Myrtle Beach.
(843) 940-3609

Links to Useful Resources for Longs, SC